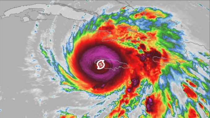
BREAKING NEWS Large Hurricane MELISSA CATEGORY 5 forming…

In late October 2025, Hurricane Melissa made history by striking Jamaica as a Category 5 hurricane, leaving a trail of destruction and setting new benchmarks for intensity in the Atlantic basin. Verified data from the National Hurricane Center (NHC) and the World Meteorological Organization (WMO) confirm Melissa’s extreme strength, highlighting its status as one of the most powerful Atlantic hurricanes ever recorded.
Unprecedented Strength
Hurricane Melissa made landfall near New Hope, Jamaica, with sustained winds of 185 mph (295 km/h) and a central pressure of 892 millibars (mb). These metrics tie it with the 1935 Labor Day Hurricane, previously the most intense landfalling storm in the Atlantic. Hurricane Hunter aircraft recorded instantaneous wind gusts up to 252 mph just above the ocean surface before landfall, indicating extraordinary destructive potential.
This combination of wind speed and low pressure makes Melissa not only Jamaica’s strongest recorded hurricane but also one of the most intense storms in the broader Atlantic basin.

Historic Impact on Jamaica
Melissa’s landfall had catastrophic consequences for Jamaica. Prime Minister Andrew Holness declared a nationwide disaster, with southwestern parishes including St. Elizabeth and Westmoreland facing severe damage. Many homes, infrastructure, and agricultural lands were destroyed, forcing thousands of residents into emergency shelters.
Jamaican authorities reported widespread power outages affecting nearly half a million people. The storm surge reached heights of up to 13 feet (4 meters) along southern coastal areas, causing flooding in communities that had never experienced such extreme events. Emergency response teams worked under difficult conditions to provide aid and rescue services.

Regional Effects Across the Caribbean
Although Jamaica bore the initial impact, Melissa also affected several other Caribbean nations. In Haiti, heavy rainfall from the hurricane caused flooding and landslides, contributing to nearly 25 fatalities. Melissa continued its path toward Cuba, where preparations were underway to mitigate potential destruction.
International aid organizations, including the United Nations International Organization for Migration (IOM), mobilized resources for emergency relief. Governments and NGOs coordinated to provide temporary shelter, food, and medical support to displaced populations.
Meteorological Factors Behind Melissa’s Intensity
Experts attribute Melissa’s rapid intensification to a combination of warm Caribbean sea surface temperatures, favorable atmospheric conditions, and its slow forward motion near Jamaica. This allowed the hurricane to maintain maximum intensity for a prolonged period, resulting in catastrophic wind and rainfall effects.
Hurricane Melissa serves as a clear example of the phenomenon known as rapid intensification, where tropical cyclones strengthen dramatically in a short period. This trend has been observed in multiple recent Atlantic storms and is an area of ongoing research for climate scientists.

Comparing Melissa to Other Historic Hurricanes
When compared to previous Atlantic hurricanes, Melissa stands out for both wind speed and central pressure:
-
Sustained winds of 185 mph tie Melissa with the 1935 Labor Day Hurricane, Hurricane Dorian (2019), and other top Atlantic landfallers.
-
Central pressure of 892 mb also ties with the 1935 Labor Day Hurricane for the lowest pressure measured at Atlantic landfall.
These statistics underscore the storm’s historic significance and its extreme destructive potential.
Emergency Response and Recovery Efforts
In Jamaica, government agencies and international organizations quickly launched recovery efforts. Emergency shelters were established, and teams were deployed to deliver food, clean water, and medical aid. Roads and communication lines were restored gradually to reconnect isolated communities.
Melissa’s impact has emphasized the critical importance of disaster preparedness. Accurate forecasting, early warnings, and coordinated emergency responses are vital for saving lives during extreme weather events. Lessons from Melissa are expected to influence future planning and infrastructure development in the Caribbean and other hurricane-prone regions.

Conclusion
Hurricane Melissa will be remembered as a record-setting storm that reshaped Jamaica and challenged Atlantic hurricane records. With sustained winds of 185 mph and central pressure of 892 mb, it entered meteorological history as one of the most intense hurricanes to make landfall in the Atlantic basin. The storm’s impact underscores the importance of disaster preparedness, resilient infrastructure, and coordinated emergency response.
As Caribbean nations continue to recover, Melissa serves as a powerful reminder of nature’s force and the necessity of scientific observation and proactive planning. For Jamaica and the wider Atlantic region, the lessons learned from Hurricane Melissa will help prepare for future storms, ensuring communities are better equipped to face extreme weather events.
